ID: 7259
УЗКОКОЛЕЙНЫЕ ЖЕЛЕЗНЫЕ ДОРОГИ РЕСПУБЛИКИ МАРИЙ ЭЛ
1388
Республика Марий Эл — субъект Российской Федерации. Столица — г. Йошкар-Ола. Площадь — 23 200 км², численность населения 711 тыс. чел. (2006).
По состоянию на 2011 год, было известно о наличии в регионе двух сохранившихся полноценных узкоколейных железных дорог — узкоколейной железной дороги Ронгинского торфопредприятия и (без абсолютной уверенности) узкоколейной железной дороги на территории воинской части 67708, расположенной вблизи станции Нолька.
Одна узкоколейная железная дорога (узкоколейная железная дорога в Йошкар-Оле, на заводе «Ремстройдормаш») не действовала, но не была полностью разобрана.
ЗВЕНИГОВСКИЙ РАЙОН
Липшинская узкоколейная железная дорога. Начальный пункт — посёлок Долгая Старица, расположенный на правом берегу реки Большая Кокшага.

Узкоколейная железная дорога на топографической карте масштаба 1:200 000,
изданной в 1990 году (нанесена условно). Лишпинская узкоколейная железная дорога являлась лесовозной, «сплавной». По информации от С. Костыгова, основанной на архивных данных бывшего Министерства лесной промышленности, узкоколейная железная дорога принадлежала Черноозерскому леспромхозу.
По информации от С. Владимирова, узкоколейная железная дорога была построена в конце 1940-х годов либо начале 1950-х годов. Главная станция находилась вблизи посёлка Гришкино (ныне практически исчезнувшего). Работали паровозы и мотовоз.
Узкоколейная железная дорога просуществовала недолго — в конце 1950-х годов она была разобрана.
__________________________________________________________________________________________________
Зобянская узкоколейная железная дорога. Начальный пункт — посёлок Суслонгер, расположенный у станции Суслонгер на железнодорожной линии Зелёный Дол — Яранск.

Узкоколейная железная дорога на топографической карте масштаба 1:200 000, изданной в 195? году.
Карта предоставлена С. Владимировым (http://rmost.narod.ru).

Узкоколейная железная дорога на топографической карте масштаба 1:100 000,
изданной в 1978 году (нанесена условно) Главная линия этой узкоколейной железной дороги пролегала от посёлка Суслонгер в северо-восточном направлении. Её протяжённость составляла менее 15 километров.
По информации от К. Болдышева, узкоколейная железная дорога была построена в период Великой Отечественной войны или вскоре после неё. Вблизи озера Серебряное, приблизительно в 13 километрах от Суслонгера, в то время находился лагерь для военнопленных, которые занимались лесозаготовкой. Узкоколейная железная дорога использовалась для сообщения с лагерем.
После ликвидации лагеря для военнопленных (ориентировочно в начале 1950-х годов) на лесозаготовках в районе узкоколейной железной дороги стали работать вольнонаёмные работники. По информации от С. Костыгова, основанной на архивных данных бывшего Министерства лесной промышленности, в то время узкоколейная железная дорога принадлежала Суслонгерскому леспромхозу.
Узкоколейная железная дорога полностью разобрана. Ориентировочный период ликвидации — 1960-е годы.
__________________________________________________________________________________________________
Филип-Солинская узкоколейная железная дорога. Начальный пункт — посёлок Лесоучасток 10 км, расположенный на Юшутской железной дороге (разобрана в 2004 году).

Узкоколейная железная дорога на топографической карте масштаба 1:200 000, изданной в 195? году.
Карта предоставлена С. Владимировым (http://rmost.narod.ru).

Узкоколейная железная дорога на топографической карте масштаба 1:50 000, изданной в 197? году
(обозначена автором на основе данных карты 195? года издания). Филип-Солинская узкоколейная железная дорога пролегала южнее ширококолейной ведомственной лесовозной Юшутской железной дороги, разобранной в 2004 году. Первый участок узкоколейной железной дороги был открыт в 1940-х годах.
По информации от С. Костыгова, основанной на архивных данных бывшего Министерства лесной промышленности, в 1950-х годах узкоколейная железная дорога имела официальное название «Филип-Солинская узкоколейная железная дорога», принадлежала Суслонгерскому леспромхозу.
По информации от С. Владимирова, узкоколейная железная дорога была разобрана не позднее 1968 года.
__________________________________________________________________________________________________
Рельсовый путь узкой колеи вблизи посёлка 31-й лесоучасток. Начальный пункт — посёлок 31-й лесоучасток, находившийся вблизи берега реки Юшут.
По информации от С. Владимирова, в период Великой Отечественной войны вблизи посёлка 31-го лесоучастка (ныне не существует) находился рельсовый путь узкой колеи, предназначенный для вывоза леса конной и ручной тягой к берегу реки Юшут, по которой лес сплавлялся к Волге. Протяжённость рельсового пути узкой колеи составляла менее 2 километров.
Рельсовый путь узкой колеи полностью разобран.
ГОРОД ЙОШКАР-ОЛА
Учебная узкоколейная железная дорога Поволжского лесотехнического института. Местонахождение — город Йошкар-Ола.
Поволжский лесотехнический институт (ПЛТИ) был создан в Йошкар-Оле в 1932 году. Позднее он был преобразован в Марийский государственный технический университет (МарГТУ).
http://www.marstu.net/Default.aspx?tabid=1232&language=ru-RU — история ПЛТИ (1932-1941)
http://www.marstu.net/Default.aspx?tabid=1233&language=ru-RU — история ПЛТИ (1941-1945)
http://www.marstu.net/Default.aspx?tabid=1234&language=ru-RU — история ПЛТИ (1945-1968)
В начале 1950-х годов (?) по инициативе доцента ПЛТИ Г. З. Чиквалидзе была сооружена учебная узкоколейная железная дорога, предназначенная для обучения студентов железнодорожным профессиям, необходимым для обеспечения работы лесовозных узкоколейных железных дорог. Тяговый подвижной состав был представлен паровозом ВП4 и неустановленным мотовозом.
Цитата из материала «МарГТУ — История — 1945 — 1968» (http://www.marstu.net/Default.aspx?tabid=1234&language=ru-RU):
Доцент Г.З. Чиквалидзе, получив на кафедру машиноведения паровоз ВП-4 и мотовоз, соорудил вместе со студентами возле здания института 300-метровый участок узкоколейной железной дороги. Была организована учебная практика по вождению на «горячем» паровозе и мотовозе.
К концу 50-х годов при кафедре были оформлены четыре учебные лаборатории по технологии металлов и тяговым машинам. Ездовую практику студенты проходили на автомобилях ЗИС-21, ЗИС-150, тракторах С-80, КТ-12.
По информации от С. Крутских, в течение некоторого времени узкоколейная железная дорога ПЛТИ имела значительно большую протяжённость. По состоянию на 1950-е годы, узкоколейная железная дорога пролегала по направлению: 1-й корпус ПЛТИ (площадь Ленина) — улица Волкова — сквер Наты Бабушкиной (на тот момент — пустырь у складов хлебозавода). В этом месте имелось путевое развитие, путь имел конфигурацию кольца. Протяжённость узкоколейной железной дороги на тот момент составляла свыше 2 километров.
«Длинная» линия просуществовала недолго — она был разобрана в связи с застройкой улицы Ленина. После этого учебная узкоколейная железная дорога продолжала эксплуатироваться на территории ПЛТИ и в непосредственной близости от неё.
Не позднее 1970-х годов узкоколейная железная дорога была окончательно разобрана.
__________________________________________________________________________________________________
Узкоколейная железная дорога завода «Ремстройдормаш». Местонахождение — город Йошкар-Ола.
Информация об этой узкоколейной железной дороге была получена от И. Намидова. Узкоколейная железная дорога находится внутри территории завода «Ремстройдормаш» (местонахождение: http://maps.yandex.ru/?um=maxamILi8MdWWb7BCY5cRbSAkv0Z4ylG&l=sat). Она использовалась для внутренних грузовых перевозок.
По состоянию на 13 июля 2011 года, узкоколейная железная дорога не действовала, но не была полностью разобрана. Сохранялся путь и один мотовоз МД54-4 — редчайший для 2011 года образец тягового подвижного состава.

Мотовоз МД54-4 на территории завода «Ремстройдормаш». 13 июля 2011 года.
АВТОР ФОТОГРАФИИ — ИМАН НАМИДОВ. ДАННАЯ ФОТОГРАФИЯ НЕ ИМЕЕТ НИКАКОГО ОТНОШЕНИЯ
К АВТОРУ «САЙТА О ЖЕЛЕЗНОЙ ДОРОГЕ», РАЗМЕЩЕНА ЗДЕСЬ В ПОРЯДКЕ ИСКЛЮЧЕНИЯ. Перспективы узкоколейной железной дороги на 2011 год были неясными. Скорее всего, узкоколейная железная дорога будет полностью разобрана.
КИЛЕМАРСКИЙ РАЙОН
Кужинская (?) узкоколейная железная дорога. Начальный пункт — посёлок Кужинский Конопляник, расположенный вблизи правого берега реки Большая Кокшага.

Узкоколейная железная дорога на топографической карте
масштаба 1:500 000, изданной в 1989 году. Узкоколейная железная дорога на топографической карте масштаба 1:100 000, изданной в 1978 году
Узкоколейная железная дорога являлась лесовозной, «сплавной». Протяжённость узкоколейной железной дороги, согласно картам, составляла около 40 километров. На магистрали узкоколейной железной дороги имелся лесной посёлок Удюрма, причём численность населения посёлка Удюрма значительно превышала численность населения посёлка Кужинский Конопляник.
Первый участок узкоколейной железной дороги был открыт в 1950-х годах. В посёлок Удюрма узкоколейная железная дорога пришла в 1956 году. Местонахождение главной станции и локомотивного депо не установлено (Кужинский Конопляник либо Удюрма).
Цитата из материала «Посёлок Кужинский Конопляник» (http://www.12rus.ru/List/24/767/):
Посёлок Кужинский Коноплянник находится в 17 км к юго-западу от посёлка Удюрма, центра сельсовета. Образован переселенцами из Кировской области.
Жители посёлка Кужинский Коноплянник занимались лесосплавом и заготовкой древесины. В 1948 году здесь находилась контора Аргамачинского сплавного участка. В 1950 году в посёлке Кужинский Коноплянник проживали 55 человек, в 1958 году — 72 человека. Дети обучались в Аргамачинской школе, находившейся на расстоянии 6 км.
В 1962 году в поселке Кужинский Коноплянник открыли магазин. В 1967 году в поселении проживали 199 человек. В 1969 году открыли столовую ОРСа Медведевского леспромхоза. В 1970 году насчитывалось 38 хозяйств. В 1974 году в 35 хозяйствах проживали 145 человек.
Цитата из материала «Посёлок Удюрма (Ыдырмы)» (http://www.12rus.ru/List/24/754/):
Поселок Удюрма является центром Удюрминского сельсовета и находится в 14 км к северо-востоку от районного центра, поселка Килемары. Впервые Удюрминская волость Царевосанчурского уезда упоминается в XVII веке. Поселок Удюрма образован как лесоучасток в 1938 году.
В 1939 году на лесоучастке Удюрма проживали семьи Самокаевых и Кудрявцевых. В гуще лесного массива были отведены лесосеки, началась валка леса с одновременным строительством жилья, но с началом Великой Отечественной войны лесоразработки были приостановлены.
В 1949 году в поселке Удюрма имелись столовая, пекарня, магазин, всего 6 домов, контора находилась в деревне Актаиха Санчурского района, там же находился большой конный двор. Работали в основном сезонные рабочие, присланные из деревень Актаиха, Сухоречье, Вить-юм, Комаровка, Савинкино Санчурского района. Приезжали со своими лошадьми. Лес зимой свозили к пристаням реки Большая Кокшага, а весной сплавляли к Волге.
В 1950 году в поселке Удюрма на лесоучастке работали 266 человек, был установлен стационарный двигатель по выработке электроэнергии. До 1952 года поселок находился в составе Санчурского леспромхоза, развитие его началось с освоением Удюрминского лесного массива и строительством железной дороги узкой колеи от Куж-Коноплянника до деревни Агафоново.
В связи с запретом на молевой сплав леса по рекам древесину начали вывозить в поселок Нужъялы на автомобилях. С 1952 по 1954 годы Удюрминский лесопункт входил в состав Кугу-Кокшанского лесхоза. Лес заготавливали вручную, в 1953 году появились электропилы, работавшие от передвижных электростанций ПЭС-12-200, электролебедки, бензопилы «Дружба-60», газогенераторные автомобили. 16 августа 1954 года образован Килемарский леспромхоз, куда вошел и Удюрминский лесопункт. В 1956 году была построена железная дорога узкой колеи. В 1957 году в поселке Удюрма насчитывалось 241 хозяйство.
В 1962 году в поселке Удюрма в 236 дворах проживали 1047 человек. Указом Президиума Верховного Совета МАССР от 2 января 1968 года образован Удюрминский сельсовет, в который вошли деревни Кужинский Коноплянник, Шушер, Аргамач, пристань Аргамач. В поселке Удюрма проживали 868 человек, работала стационарная киноустановка. В 1970 году числилось 189 хозяйств.
В 1972 году закрыли железную дорогу узкой колеи, население постепенно начало переселяться из поселка на другие лесоучастки и в поселок Килемары. В 1974 году в 139 хозяйствах проживали 566 жителей. В 1977 году лесоучасток Удюрма в качестве подсобного хозяйства вошел в состав колхоза «Светлый луч», в 1994 году — в состав Килемарского лесокомбината. В поселке Удюрма находилась контора Удюрминского лесничества.
В 1972 году узкоколейная железная дорога была официально закрыта (причина — запрет молевого сплава по реке Большая Кокшага). В последующие годы узкоколейная железная дорога была разобрана.
__________________________________________________________________________________________________
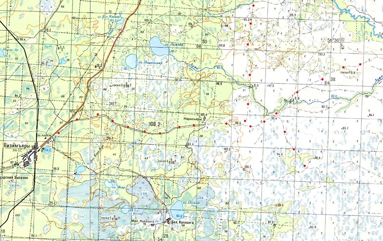
Визимъярская (?) узкоколейная железная дорога. Начальный пункт — посёлок Визимъяры, расположенный у станции Визимъяры Килемарской железной дороги (железная дорога полностью разобрана).

Узкоколейная железная дорога на карте масштаба 1:400 000,
изданной в 1948 (?) году.

Узкоколейная железная дорога на карте масштаба 1:250 000, изданной в США в 1953 году (информация взята
в основном из карт, изданных в СССР, состояние местности может соответствовать 1930-м годам).
Дорога ошибочно (?) показана как ширококолейная.

Узкоколейная железная дорога на топографической карте масштаба 1:200 000,
изданной в 1990 году (нанесена условно). Узкоколейная железная дорога на топографической карте масштаба 1:100 000, изданной в 1978 году (нанесена условно)
Узкоколейная железная дорога была лесовозной. Главная линия пролегала по направлению: посёлок Визимъяры (станция Визимъяры на изолированной Килемарской железной дороге широкой колеи) — посёлок Карасьяры — лесной массив. Первый участок узкоколейной железной дороги был открыт не позднее 1930-х годов.
По другой версии, основанной в первую очередь на обозначениях карт, участок Визимъяры — Первомайск был ширококолейным (либо вся предполагаемая узкоколейная железная дорога была ширококолейной лесовозной ветвью).
На узкоколейной железной дороге имелся лесной посёлок Карасьяры, расположенный в 11 километрах от Визимъяр, и посёлок Первомайский, расположенный в 17 километрах от Визимъяр. По информации от К. Болдышева, к востоку от посёлка Карасьяры имелись две главные линии узкоколейной железной дороги: на север, в район села Красный Мост, и на восток, в район населённого пункта Красная Горка.
Узкоколейная железная дорога полностью разобрана. Ориентировочный период ликвидации — 1960-е годы.
МЕДВЕДЕВСКИЙ РАЙОН
Узкоколейная железная дорога Арбанского торфопредприятия. Начальный пункт — посёлок Новый.
Узкоколейная железная дорога полностью разобрана. Ориентировочная дата ликвидации — 1995 год.
__________________________________________________________________________________________________
Узкоколейная железная дорога на территории воинской части вблизи посёлка Краснооктябрьский. Начальный пункт — посёлок Краснооктябрьский, расположенный у станции Нолька на железнодорожной линии Зелёный Дол — Яранск.

Район местонахождения узкоколейной железной дороги на спутниковом снимке
(источник — «Google Maps», ориентировочная дата съёмки — 2005 год). На территории воинской части 67708 находится узкоколейная железная дорога, предназначенная для внутренних грузовых перевозок. По информации от А. Максимова, в 1980 году в адрес данной воинской части Камбарский машиностроительный завод отправил тепловоз ТУ7.
Специализацией воинской части 67708 является утилизация списанных боеприпасов посредством их подрыва. Подрывное поле находится примерно в 2 километрах севернее основной территории части. Скорее всего, назначением узкоколейной железной дороги является доставка боеприпасов от складов до подрывного поля.
По состоянию на 2010 год, узкоколейная железная дорога действует (достоверность информации под сомнением).
Территория воинской части 67708 окружена по периметру колючей проволокой и строго охраняется. Узкоколейная железная дорога недоступна для посещения и осмотра.
http://mariel.news-city.info/docs/sistemsw/dok_ieggho.htm — «Постановление правительства республики Марий Эл от 16.07.2008 № 187 «Об установлении запретной зоны и запретного района вокруг территории войсковой части 67708» (вместе со «Схемой запретной зоны и запретного района войсковой части 67708»)»
МОРКИНСКИЙ РАЙОН
Комсомольская узкоколейная железная дорога. Начальный пункт — посёлок Комсомольский (29 км), расположенный вблизи станции Юшутской железной дороги (разобрана в 2004 году).

Узкоколейная железная дорога на топографической
карте масштаба 1:200 000, изданной в 195? году.

Узкоколейная железная дорога на топографической карте масштаба 1:100 000, изданной в 1978 году (западная часть),
1989 году (восточная часть). Нанесена условно, на основе данных карты масштаба 1:200 000, изданной в 195? году. Эта узкоколейная железная дорога являлась лесовозной, первоначально была «сплавной». Скорее всего, первый участок узкоколейной железной дороги был открыт в 1940-х годах. Его начальным пунктом был посёлок Устье Шора, располагавшийся на берегу реки Юшут. Главная линия узкоколейной железной дороги пролегала в северном направлении. На ней был построен лесной посёлок Агуткино.
В начале 1950-х годов (?) был построен участок Устье Шора — Комсомольский. Узкоколейная железная дорога получила выход к широкой колее. По информации от С. Костыгова, основанной на отчётах бывшего Министерства лесной промышленности, в 1950-х годах узкоколейная железная дорога принадлежала Суслонгерскому леспромхозу, имела официальное название «Комсомольская узкоколейная железная дорога».
В 1970-х годах узкоколейная железная дорога была полностью разобрана. Посёлки Устье Шора и Агуткино были ликвидированы.
__________________________________________________________________________________________________
Октябрьская узкоколейная железная дорога. Начальный пункт — посёлок Октябрьский, расположенный вблизи станции на тупиковой ветви Юшутской железной дороги (полностью разобрана).

Узкоколейная железная дорога на топографической карте масштаба 1:100 000,
изданной в 1989 году (нанесена условно). Узкоколейная железная дорога являлась лесовозной. Ни одной карты, на которой была бы обозначена узкоколейная железная дорога, автору не известно, о её трассе можно судить лишь предположительно.
По информации от С. Костыгова, основанной на отчётах бывшего Министерства лесной промышленности, в 1950-х годах узкоколейная железная дорога принадлежала Суслонгерскому леспромхозу, имела официальное название «Октябрьская узкоколейная железная дорога».
Узкоколейная железная дорога была полностью разобрана не позднее 1970-х годов.
__________________________________________________________________________________________________
Зеленогорская узкоколейная железная дорога. Начальный пункт — посёлок Зеленогорск, являвшийся конечным пунктом Юшутской железной дороги (полностью разобрана).

Район местонахождения узкоколейной железной дороги на топографической
карте масштаба 1:100 000, изданной в 1989 году. История этой узкоколейной железной дороги не изучена. Не исключено, что она появилась в 1940-е годы — до прихода в этот район широкой колеи, первоначально была «сплавной» и начиналась на берегу реки Юшут.
Цитата из материала «Посёлок Зеленогорск (52-й км)» (http://www.12rus.ru/List/28/1642/):
Посёлок Зеленогорск — центр Зеленогорской сельской администрации. Он расположен в 18 км западнее райцентра, пос. Морки. Находится на территории Березинского лесничества Юшутского лесхоза.
Поселок возник в 1939-1940 годах. Место для него было выбрано удобное. Рядом проходил тракт Морки — Ронга, считавшийся раньше главной дорогой района. В старину она соединяла Царевококшайск, Вятскую губернию с Казанью.
...
Первоначально поселок официально назвали Лесоучасток 52-й километр Юшутской железнодорожной ветки. Он находился на 52 километре от станции Суслонгер. Лесопункт входил в состав Моркинского лестранхоза треста «Маритранлес». Образован был для заготовки и переработки спецсортиментов. Их вывозили к линии железной дороги как авиабрус, палубный пиломатериал, лыжный брус и ружейные болванки. Первым начальником лесопункта был Д.Я. Эманов.
В 1948 году на лесозаготовках появилась электропила, источником энергии была передвижная электростанция. Трелевали лес на лошадях. Вывозили древесину на автомашинах на сплав к реке Юшут. В 50-е годы появился трелевочный трактор. Изменилась технология разработки лесосек.
Название поселка отражает характер местности. С двух сторон дороги, проходившей в поселке, росли деревья. Все было в пышной зелени. Название Зеленогорск поселок получил в 1951 году. В 1952 году поселок входил в состав Весьшургинского сельсовета. В 1954 году здесь организовали самостоятельный лесопункт в подчинении Суслонгерского леспромхоза треста «Марилес». В 1950 году в поселке появилось радио, в 1953 году — телефоны, в 1957 году — телевизоры.
В 1956 году образован Зеленогорский сельсовет, в состав которого вошли поселки Зеленогорск, 43 км Юшутской железной дороги, 47 км Юшутской железной дороги и 48 км Юшутской железной дороги. В 1958 году в пос. Зеленогорск находилось 463 дома. В 1959 году здесь проживали 1058 мужчин, 1194 женщины, большинство русские.
В 1963 году образовался Зеленогорский леспромхоз на базе Моркинского леспромхоза и лесозаготовительных пунктов Суслонгерского деревообрабатывающего комбината Юшутской железнодорожной ветки. В подчинение леспромхоза входили Зеленогорский, Петровский, Уньжинский, Комсомольский лесопункты, Юшутская железнодорожная ветка и Илетский сплавной участок. В 1965 году была установлена впервые в системе комбината «Марилес» полуавтоматическая линия для раскряжевки хлыстов. В 1968 году в поселке был построен арболитовый цех.
В 1969 году работала мастерская по пошиву одежды. Она размещалась в деревянном здании. В 1972 году в связи с объединением Зеленогорского лесхоза и леспромхоза предприятие стало называться Зеленогорским лесокомбинатом. Дополнительно вошли в его подчинение Юшутское, Тайганурское, Комсомольское и Филиппсолинское лесничества. В 1971 году начал работать сувенирный цех.
В 1951 году Зеленогорск стал конечным пунктом Юшутской железной дороги. По информации от С. Костыгова, основанной на отчётах бывшего Министерства лесной промышленности, в 1950-х годах узкоколейная железная дорога принадлежала Суслонгерскому леспромхозу, имела официальное название «Зеленогорская узкоколейная железная дорога».
Не позднее 1970-х годов узкоколейная железная дорога была полностью разобрана.
ПАРАНЬГИНСКИЙ РАЙОН
Узкоколейная железная дорога Параньгинского торфопредприятия (?). Возможное местонахождение — посёлок Параньга.

Район возможного местонахождения узкоколейной железной дороги на топографической
карте масштаба 1:100 000, изданной в 1978 году. Параньгинское торфопредприятие находится в посёлке Параньга (адрес: 425400, г.Республика Марий Эл, пос. Параньга, ул.Коммунистическая, д. 10). Торфопредприятие осуществляет добычу торфа и производство торфяной продукции. В состав торфопредприятия входит торфобрикетный завод.
По информации от С. Владимирова, полученной на основе поездки в Параньгу, произведённой в 2005 году, узкоколейной железной дороги на Параньгинском торфопредприятии нет, и, скорее всего, никогда не было. Однако на торфобрикетном заводе находится рельсовый путь узкой колеи протяжённостью около 200 метров, на котором применяется канатная тяга. Рельсовый путь узкой колеи предназначен для доставки торфа непосредственно к приёмному бункеру. От торфомассива до торфобрикетного завода торф доставляется автомобилями.
СОВЕТСКИЙ РАЙОН
Узкоколейная железная дорога Ронгинского торфопредприятия. Начальный пункт — село Ронга.
По состоянию на 2011 год, узкоколейная железная дорога действует.
ЮРИНСКИЙ РАЙОН
Козиковская узкоколейная железная дорога. Начальный пункт — посёлок Козиково, расположенный вблизи левого берега реки Ветлуги.

Козиковская и Юркинская узкоколейные железные дороги на топографической карте
масштаба 1:500 000, изданной в 1994 году. Узкоколейная железная дорога на топографической карте масштаба 1:200 000, изданной в 1991 году
Козиковская и Юркинская узкоколейные железные дороги на топографической карте масштаба 1:200 000, изданной в 1986 году (западная часть), 1978 году (северо-восточная часть), 1995 году (юго-восточная часть)
Козиковская узкоколейная железная дорога являлась лесовозной, «сплавной». По информации от С. Костыгова, первый участок узкоколейной железной дороги был открыт в 1950 году. Дорога была достаточно крупной — по принятой в Министерстве лесной промышленности СССР классификации лесовозных узкоколейных железных дорог, она имела категорию узкоколейной железной дороги первого класса.
Первоначально был открыт участок Козиково — Шушманка (12 км), появился лесной посёлок Шушманка. В 1953 году был основан лесной посёлок Майский (23 км).
Первоначально на узкоколейной железной дороге работали паровозы (ВП2, два ВП4 и два ОП2). С 1960-х годов поступали тепловозы ТУ4, мотовозы МД54-4, позднее — тепловозы ТУ6А.
С 1970-х годов Козиковская узкоколейная железная дорога составляла единую сеть с Юркинской узкоколейной железной дорогой. Не позднее 1985 года соединительный участок между двумя дорогами был разобран.
С конца 1960-х годов магистраль Козиковской узкоколейной железной дороги пересекалась с изолированной (на тот момент) Килемарской железной дорогой широкой колеи. Глухое пересечение находилось на 105-м километре Килемарской железной дороги и приблизительно на 38-м километре Козиковской узкоколейной железной дороги. На пересечении имелся пост дежурного, обязанностью которого являлось обеспечение безопасного движения поездов. Пересечение исчезло к началу 1980-х годов в связи с ликвидацией «дальней» части магистрали Козиковской узкоколейной железной дороги по причине истощения лесосырьевой базы.
Помимо рабочих поездов, на Козиковской узкоколейной железной дороге регулярно курсировал пассажирский поезд сообщением Козиково — Шушманка — Майский, предназначенный для транспортного обслуживания жителей лесных посёлков. Поезд курсировал дважды в день, обычно его вёл мотовоз МД54-4. После выселения посёлка Майский маршрут поезда был сокращён до Шушманки.
Вывозка леса по узкоколейной железной дороге прекратилась в начале 1990-х годов. Приблизительно в 1995 году узкоколейная железная дорога была полностью разобрана.
По состоянию на май 2004 года, в посёлке Козиково сохранялись два тендера от паровозов ВП4 и один тендер от паровоза ОП2. После перевода узкоколейной железной дороги на тепловозную тягу тендеры использовались в качестве ёмкостей на лесозаводе. Кроме того, в посёлке сохранялись кабины мотовозов МД54-4 и тепловоза ТУ6А-3578.
Насыпь магистрали узкоколейной железной дороги после демонтажа пути частично была превращена в грунтовую автодорогу, использовавшуюся для сообщения с лесным посёлком Шушманка. По состоянию на 2005 год, в посёлке Шушманка проживала одна семья из двух человек.
http://www.pereyezd.ru/readarticle.php?article_id=5 — «Экспедиция в Марий Эл» (материал С. Костыгова, посвящённый поездке на разобранные узкоколейные железные дороги в Юринском районе и разобранную Килемарскую железную дорогу широкой колеи, произведённой в мае 2004 года)
http://www.12rus.ru/List/41/2932/ — информация о посёлке Шушманка
__________________________________________________________________________________________________
Юркинская узкоколейная железная дорога. Начальный пункт — посёлок Юркино, расположенный вблизи левого берега реки Ветлуги.

Узкоколейная железная дорога на топографической карте масштаба 1:200 000, изданной в 1994 году. Юркинская узкоколейная железная дорога являлась лесовозной, «сплавной». По информации от С. Костыгова, первый участок узкоколейной железной дороги был открыт в 1947 году. В то время на ней работали два магистральных паровоза – ВП1 и Кч4, два маневровых паровоза ОП2. На 10-м километре от Юркино существовал лесной посёлок Карасъяры, там было построено паровозное депо.
В 1960-х годах узкоколейная железная дорога была переведена на тепловозную тягу (поступали тепловозы ТУ4, мотовозы МД54-4, позднее — тепловозы ТУ6А). При этом основное локомотивное депо было переведено из Карасъяр в Юркино.
По состоянию на 1970-е годы, протяжённость магистральных линий узкоколейной железной дороги составляла около 40 километров. От посёлка Карасъяры расходились две магистрали — «Ветлужская» (на север) и «Волжская» (на северо-восток). На протяжении некоторого времени Юркинская узкоколейная железная дорога составляла единую сеть с Козиковской узкоколейной железной дорогой.
В конце 1980-х годов было принято решение о закрытии узкоколейной железной дороги и переходе на автомобильную вывозку леса. Узкоколейная железная дорога была полностью разобрана.
http://www.pereyezd.ru/readarticle.php?article_id=5 — «Экспедиция в Марий Эл» (материал С. Костыгова, посвящённый поездке на разобранные узкоколейные железные дороги в Юринском районе и разобранную Килемарскую железную дорогу широкой колеи, произведённой в мае 2004 года)
09.03.2010 © [ДАННЫЕ УДАЛЕНЫ]
назад
на главную страницу